第A25版:封面报道

上一版  下一版   

 

2018年04月20日 星期五

 
 

放大  缩小  默认   

 

创业之心:神奇自然在哪里

“废墟之中,还有一道残垣屹立不倒,安稳如山,那是我对科学真理的衷心热爱。我心灵手巧的昆虫们啊,我能否凭着这份热情,为你们的历史郑重地添上几页?”100多年前,让-亨利·法布尔买下一块荒地,种上百里香和薰衣草,邀请心爱的虫子们到来,他写下的《昆虫记》装饰了所有孩子的童年。时针滴答,一百年后的现在,有个年轻人在上海的一方小小空间内,用满满一屋子的蛇蝎蜥蜴编织了一个绿色的梦,他把自然还给孩子,或者说,是把孩子还给自然。

最不像90后的90后

屠跃邺,熟悉他的人都会亲切地唤一声“图图老师”。身穿一件军绿色T恤,圆圆的脸上满是笑意,他打趣道,从创业之初到现在,发生在他身上最大的变化,也许就是体重的增长。要知道,步入大学百天的他,选择入伍参军,也曾是一名身披飒爽军服的“小鲜肉”呢。可现如今,他却在朋友圈暗暗自嘲:“我是90后这件事,说出去有人能信?”虽然胖了些许,头发也掉了些许,不过,未曾削减过分毫的,仍是他的那份创业热情。

屠跃邺自小生活在奉贤郊区,他的少年时代是伴随着乡间田野与花鸟鱼虫一同度过的。因此,他几乎也没怎么犹豫,就选择了上海师范大学生命与环境科学学院就读硕士。谈及为什么会萌发创业的想法,他说:“自然而然就做了。当兵的时候我就想好自己之后的人生了,虽然没有具体的规划,但大致的方向已经想好了。”毕业后,怀着一份敬畏和热爱大自然的心,他和另两名合伙人——动物学硕士宋晓彬和动物学博士彭中,以及一位学术顾问汤亮,创立了“恋野物语自然探索工作室”(以下简称“恋野物语”),想通过自然科普教育让更多人意识到保护上海本土自然环境的重要性。

市中心的“热带雨林”

知了在树上叽喳,草丛中一阵窸窸窣窣的声响;苍穹澄碧,清泉潺潺,有风拂过脸庞,吹得人心痒痒,这也许是我们想象中的“大自然”。而我们所处的城市,高架桥纵横交错,写字楼里锁满了灵魂。钢筋水泥里,何处可许我们一片大自然的生机?

屠跃邺的“恋野物语”位于桂林路68号,这里离桂林公园并不远,沿街步行几分钟便可到达。然而,你一定想象不到,在这间小屋中,居然暗藏了一片“热带雨林”!工作室不过十平方米左右的房间,更像是几十个小动物的家,这里既有萌萌的鬃狮蜥、狭口蛙;也有酷酷的雨林蝎、豹纹守宫;还有身怀绝技的避日蛛和一条名为“学思湖水怪”的泥鳅……为了维持这些神奇小动物的生存环境,房间温度一直控制在28摄氏度左右。一侧的墙上,以墙绘勾勒出恋野物语的三位创始人和动植物们的千丝万缕。 

截至2018年4月,恋野物语恰好成立一周年。这个年轻的团队以“对知识负责,讲孩子听得懂的自然”为初心,在自然科普和本土自然环境保护上生根发芽。去年3月,联合月星环球港建成了上海首家室内商场蝴蝶温室,科普之路就此起步;5月,工作室装修完成,不光他们有了自己的据点,申城小朋友们也拥有了零距离接触小动物的机会;6月,联合上海师范大学举办昆虫标本制作讲座,看着孩子们跃跃欲试的眼神,屠跃邺确信,自己的选择没错;暑假时,工作室组织天目山自然探索亲子活动,随后文达学校“创新实验室”改造项目也顺利完成;9月至12月,接连开发科普课程、开展线下科普活动,恋野物语团队在自然科普和本土自然环境保护中不断前行……

“只要跟自然科普有关系,我都愿意去尝试。”屠跃邺坚定地说,让更多的人认识自然,爱上自然,继而守护自然,这是一份他必将坚守的初心。

发现上海的“小可爱”

去年,上海一共发现了三种昆虫新物种,而这些都与恋野物语有关。在2017年年初,工作室联合创始人宋晓彬和彭中在整理上海市野生动物保护站和上海滨江森林公园联合主办的“昆虫限时寻”活动中所采集的昆虫标本时,欣喜地发现了一种气质与众不同的甲虫。他们在仔细翻阅了大量文献及解剖比对后,最终确认该甲虫是“双斑粗角步甲”家族的一个新物种。早在1949年,国外的昆虫分类学家就在上海记载了一种双斑粗角步甲,叫作中华双斑粗角步甲。它算得上是这次发现的新种上海双斑粗角步甲的近亲。中华双斑粗角步甲自1949年被发现后,就再也没有在它的家乡上海被发现了,直到时隔60多年后,又再一次在上海有了它们的踪迹。

为什么上海去年连续发现了3个新种,这肯定不是一个美丽的意外。屠跃邺说,恋野物语团队把原因归结成:天时、地利、人和。天时,是因为近几年是生态调查的高峰期,这样一个时代氛围,上海当然也有所努力。地利,是因为中国,作为世界上生物多样性最丰富的国家之一,我国的昆虫种类比美国和加拿大的总和还要多。而人和,则当然归功于这一群热爱科研和生态保护的年轻人了。而就在今年4月初,这群年轻人又在上海发现了“新大陆”——这次是在上海动物园内最新发现的从未被记录过的昆虫,暂时称之为“新种莱甲”。

在上海,越来越多的新物种被发现,无疑是件令人欣喜的事,而这也仅仅是一个开始。屠跃邺说,即使是在上海这样城市化发展程度较高的地区,依然还有很多有趣的生物,等着我们去探索和发现。可惜的是,生物学家发现新物种的脚步,远跟不上动物灭绝的速度。很多物种,在被人们发现前就从地球上永远消失了。只有大力加强自然环境的保护,才能避免这样的事情继续发生。而这正是屠跃邺和他的恋野物语团队一直致力的方向。当然,这一行动也需要更多的人参与进来,而他愿化身自然的使者,希望能成为孩子们和自然之间的桥梁,最终找出一条属于恋野物语的自然探索之路。 

Tip:

恋野物语发现的小可爱们

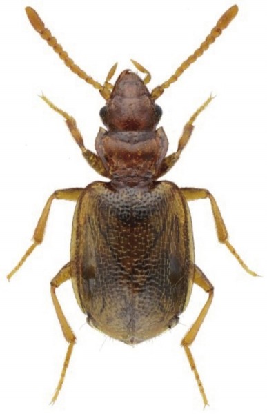
西郊公园毛角蚁甲 

西郊公园毛角蚁甲(Batriscenellus xijiaogongyuan) 是2017年第一个被报道的上海昆虫新种。在一次上海师范大学和上海动物园联合发起的昆虫新物种调查中,当时还在攻读研究生的屠跃邺和彭中等采集得到了一枚珍贵的蚁甲标本。来自上海师范大学的殷子为博士在对标本进行解剖后,发现该蚁甲应当是毛角蚁甲属的成员。在将其进一步与该属其他成员进行详细比对后,殷子为博士最终确认这是一个从未被描述和发现的新物种,并以其发现地,上海动物园的旧称——西郊公园为其命名。相关研究成果被发表在国际学术期刊Zootaxa上。 

天马华冥小葬甲 

这个名叫天马华冥小葬甲(Sinobathyscia tianma)的新种甲虫的体长,只有区区1.4毫米,西郊公园毛角蚁甲在它的身边看起来就像个小巨人一般。最早由恋野物语的宋晓彬和上海师范大学的汤亮副教授一同在天马山采集得到,采集地点临近一处貉的固定排便场所。标本经由旅捷克博士后王成斌比对研究后,确认为华冥小葬甲属的一个新物种,相关研究成果被发表在国际学术期刊Zootaxa上。 

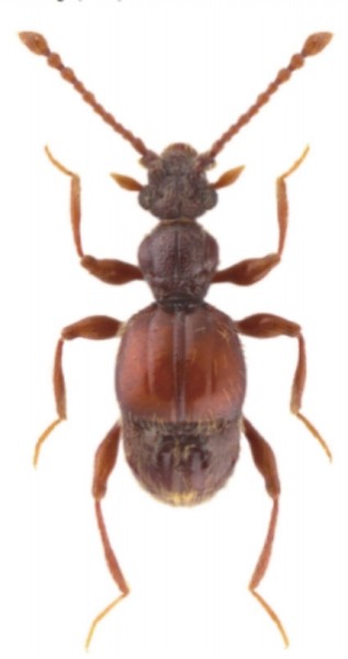
上海双斑粗角步甲

上海双斑粗角步甲(Eustra shanghaiensis)隶属于鞘翅目步甲科,这个家族中的大多数成员在它们的鞘翅上分布着一对椭圆形黑斑,而触角的末几节一般较粗,这些全都是它们家族的共同特征。它们可以在一瞬间喷射出接近60摄氏度高温的化学物质,从而应对攻击它的敌人。

屠跃邺

恋野物语工作室联合创始人&CEO动物学硕士,毕业于上海师范大学生命与环境科学学院,多次跟随实验室科研团队在全国各地进行标本采集。研究生期间,申请“锹甲幼虫饲料”发明专利,同时进行中小学自然科普教育创业实践,并入选2016年上海市研究生创新创业能力培养计划·优秀项目,获得15万元EFG创业扶持基金。

 

 

青年社交